Продают земельный участок, Trīsciema 2.līnija, Trīsciems / 33115€

Местонахождение:Rīga, Labais krasts, Trīsciems
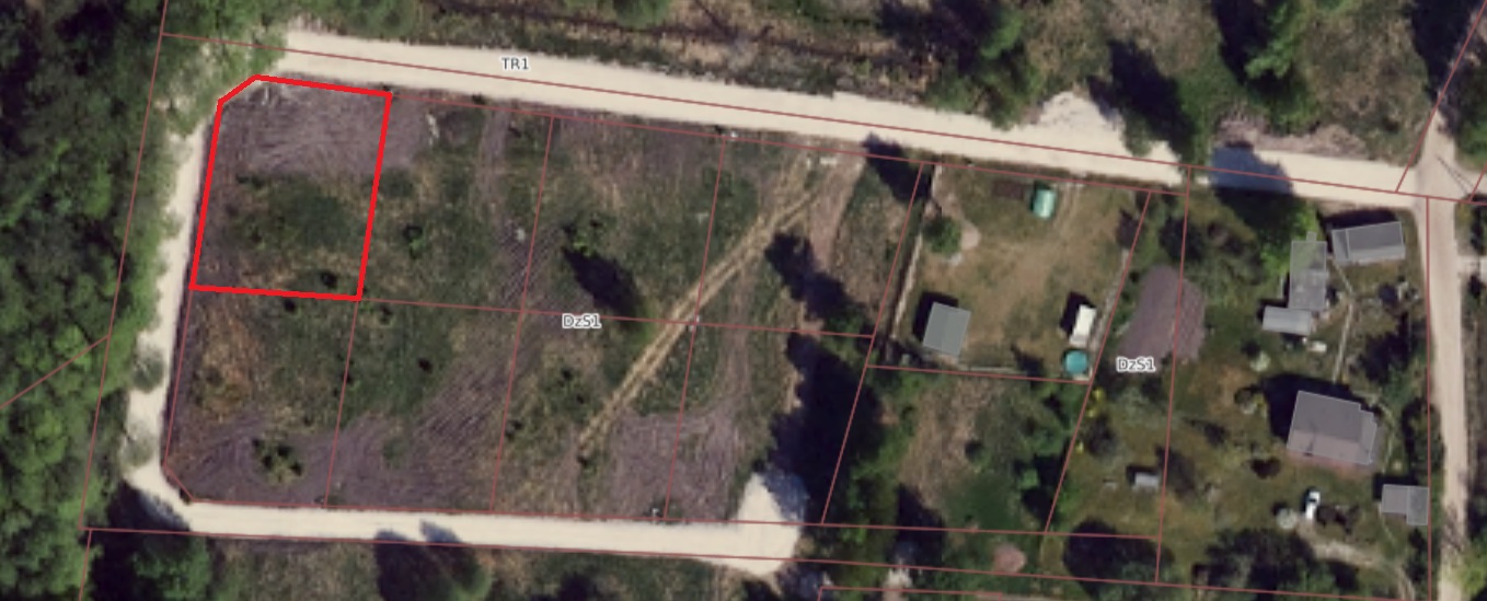
Улица:Trīsciema 2.līnija
Площадь:895 м²
Цена:33 115 € (37 €/м²)

Описание объекта

Земельный участок в Трīsциемс – территория для строительства индивидуальных домов (DzS1).

Разрешённые виды использования: Строительство многоквартирных домов, таунхаусов и индивидуальных жилых домов.

Строительные нормы:
- Максимальная плотность застройки: 30%
- Максимальная высота зданий: до 3 этажей

Удобный подъезд – ко всем участкам обеспечен общий, построенный подъездной путь.

Электричество подведено к каждому участку. Вода и канализация – местные.

До центра Риги можно добраться примерно за 20 минут, а необходимые учреждения и магазины находятся всего в 7 минутах езды – в районах Вецмилгравис и Яунциемс.

Заинтересовались? Звоните или пишите, чтобы договориться о просмотре!

  • Местонахождение: поблизости река, поблизости озеро, поблизости лес, удобное сообщение общественного транспорта
  • Коммуникации: городское водоснабжение, местная канализация
ID номер объекта: 65667

Объект на карте

  • Карта Bing
  • Bing birds eye
  • Карта Openstreet
Nikola Elizabete Trinkuna
Nikola Elizabete Trinkuna Агент
Связаться с агентом:
  • Распечатать