Pārdod zemi, Trīsciema 2.līnija iela, Trīsciems / 66304€

Atrašanās vieta:Rīga, Labais krasts, Trīsciems
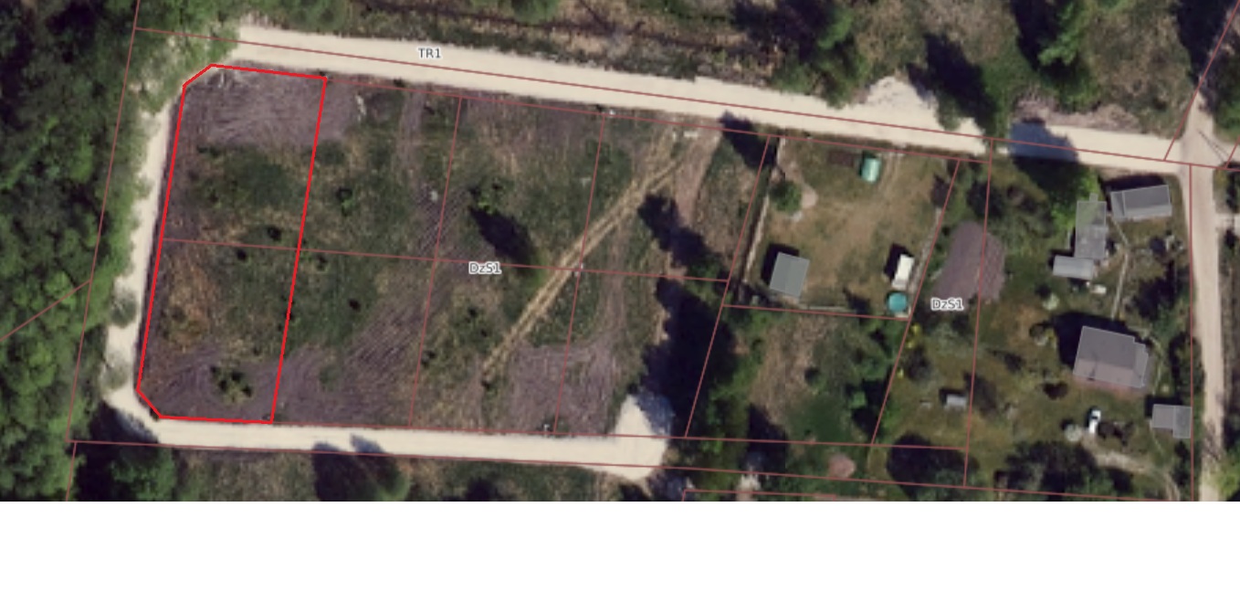
Iela:Trīsciema 2.līnija
Platība:1792 m²
Cena:66 304 € (37 €/m²)

Īpašuma apraksts

Zemes gabals Trīsciemā - savrupmāju apbūves teritorija (DzS1).

Atļautie izmantošanas veidi:
Daudzdzīvokļu māju, rindu un savrupmāju apbūve

Apbūves noteikumi:
- Maksimālais apbūves blīvums 30%;
- Maksimālais apbūves augstums līdz 3 stāviem.

Ērta piekļuve – visiem zemes gabaliem nodrošināts kopīgs, izbūvēts piebraucamais ceļš.

Elektrība pievadīta katram zemes gabalam.
Ūdens un kanalizācija vietējā.

Rīgas centrs sasniedzams aptuveni 20 minūšu laikā, savukārt ikdienā nepieciešamās iestādes un iepirkšanās vietas atrodas vien 7 minūšu brauciena attālumā – Vecmīlgrāvja un Jaunciema apkaimē.

Interesē? Zvani vai raksti, lai vienotos par apskati!

  • Atrašanās vieta: tuvumā upe, tuvumā ezers, tuvumā mežs, ērta sabiedriskā transporta kustība
  • Komunikācijas: pilsētas ūdens apgāde, vietējā kanalizācija
Īpašuma ID numurs: 65692

Īpašums kartē

  • Bing karte
  • Bing bird eye
  • Openstreet Karte
Nikola Elizabete Trinkuna
Nikola Elizabete Trinkuna Aģents
Sazināties ar aģentu:
  • Drukāt